Sommaire Exécutif

Prix demandé

799 000 $

Superficie (PI2)

284 024

Constructible (PI2)

--

Unités

--

$ / PI2

2.81 $

$ / PI2 constructible

--

$ / Unité

--

Type de projet

Industriel

Avantages du site

  • Deux types d'usages industriels permis, soit l'industriel de prestige et/ou léger.
  • Terrain permettant l'entreposage extérieur.
  • Localisation prisée ayant front sur la Route 148.
  • Terrain plat et déboisé avec une géométrie régulière optimisant ainsi l'implantation des futurs bâtiments.
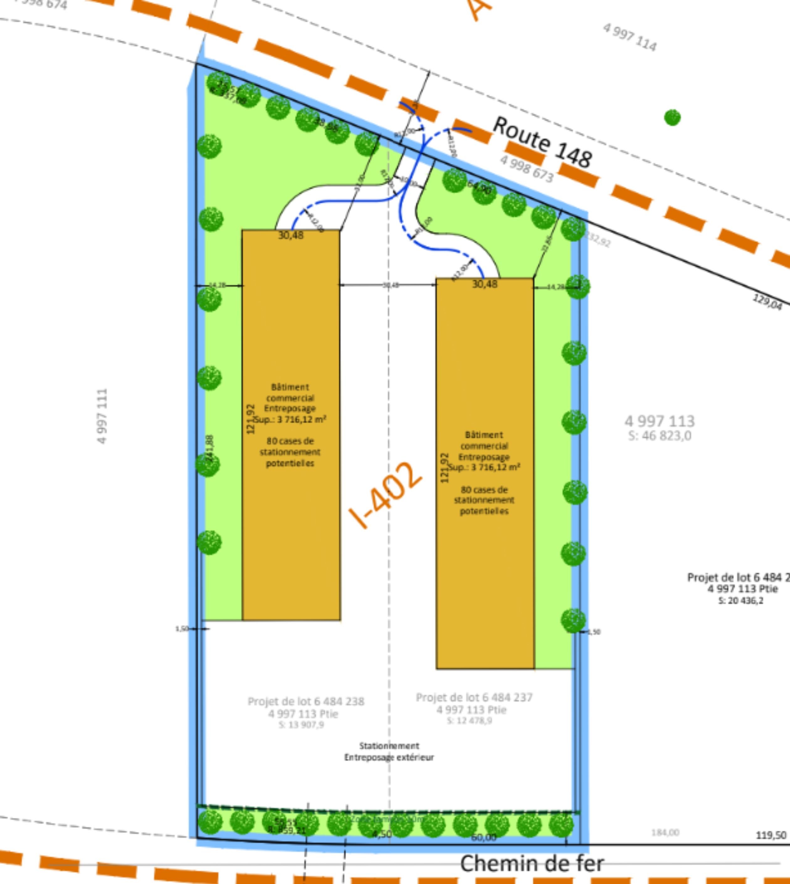
Route 148 - Projet potentiel

Projet potentiel

  • Malgré le zonage industriel de plein droit il est de la responsabilité de l'acheteur d'effectuer tous les vérifications auprès des autorités compétentes afin de confirmer que la destination qu'il entend donner à l'immeuble soit conforme aux lois et règlements en vigueur.
  • L'usage industriel de prestige est souvent relié à la haute technologie et à des centres de recherche. Il pourrait s’agir également d’entreprises établissant leur siège social.
  • L'usage industriel léger pourrait inclure des espaces d’entreposage intérieur ou extérieur, de la vente en gros, de la distribution et bien plus.
  • L'image démontre un projet d'entreposage comprenant 2 bâtiments d'environ 40 000 p.c. ainsi qu'un espace arrière pour de l'entreposage extérieur.

Accès au Data Room

Les descriptions, spécifications et projections financières affichées sur cette page et fournies dans le data room sont à titre d'information seulement et ne doivent pas être considérées comme étant officielles. Les renseignements proviennent de sources externes ainsi que de nos propres analyses, pour lesquelles nous ne pouvons garantir l’exactitude. Il est de la responsabilité de l’acheteur de valider l'information et de s’en déclarer satisfait ou insatisfait lors de la vérification diligente suivant l'acceptation d'une promesse d’achat.

Prochaines étapes du projet

(SOUS TOUTES RÉSERVES, IL IMPORTE À L’ACHETEUR DE FAIRE LES VÉRIFICATIONS APPROPRIÉES)

Dépôt des documents exigés par la ville pour la demande de permis
Révision par le CCU suivi par l'acceptation des recommandations par le Conseil de Ville
Obtention des permis et début des constructions

Points d’intérêt

À proximité de la propriété

Pour avancer

Étapes
Accéder à la salle de données virtuelles
Prendre contact avec le courtier
Déposer une offre
Courtier
broker-Yannick

Yannick Therrien

Courtier Immobilier Commercial
Ellipse 141
(514) 506-5623
Ellipse 141
yannick@landerz.ca
Planifier un appel

Termes et conditions

Les acquéreurs éventuels (le(s) « Acquéreur(s) ») sont fortement invités à procéder à leurs propres examen et inspection de la Propriété et des renseignements y afférents, et à se fier à cet examen et à cette inspection, et non à cette Notice d’offre confidentielle ou à tout autre renseignement ou document contenu aux présentes ou autrement fourni. La présente Notice d’offre confidentielle est fournie sous réserve de toute vente ou location antérieure, et est sujette aux modifications de prix ou de modalités et autres changements relatifs aux documents, aux énoncés et aux renseignements contenus aux présentes ou relativement à la Propriété, et elle peut être retirée en tout temps, le tout sans avis ni aucune responsabilité, quels qu’ils soient.

En aucun cas, la livraison ou la réception de la présente Notice d’offre confidentielle ne doit être considérée comme ayant créé quelque obligation légale que ce soit concernant la conclusion de toute transaction relativement à la Propriété, et seule une entente définitive, signée par toutes les parties, aura pour effet de créer une obligation contraignante de conclure une transaction.

Les renseignements contenus dans la Notice d’offre confidentielle sont fournis sur une base confidentielle dans le seul et unique but de permettre à des acquéreurs éventuels d’évaluer leur intérêt à poursuivre de plus amples discussions à l’égard d’une possible transaction pour l’acquisition de la propriété en question (la « Propriété »).

Les renseignements contenus aux présentes ne peuvent, en aucun cas, être photocopiés ou divulgués à quelque tiers que ce soit, en totalité ou en partie, et ne peuvent être utilisés à d’autres fins. Dans l’éventualité où le récipiendaire de la Notice d’offre confidentielle ne désire pas poursuivre les discussions en vue d’une transaction, la présente Notice d’offre confidentielle doit être retournée à Landerz Agence Immobilière inc. (« Landerz » ou le « Conseiller »).

Ni le Vendeur, ni Landerz, ni aucun de leurs dirigeants, administrateurs, employés ou mandataires, n’assume aucune responsabilité et ne seront pas considérés avoir fait quelque représentation ou garantie que ce soit, explicitement ou implicitement, par effet de la loi ou autrement, à l’égard de la Propriété, de cette Notice d’offre confidentielle ou de quelque renseignement ou énoncé que ce soit (y compris les états financiers et prévisions financières) contenus aux présentes ou s’y rapportant, y compris l’exactitude ou au caractère exhaustif de ces renseignements ou de ces énoncés, ou quant à l’état, la qualité ou la conformité de la Propriété. De tels renseignements et énoncés proviennent, dans bien des cas, de sources externes, n’ont pas été testés ou vérifiés, et peuvent contenir des erreurs ou des omissions.

Les prévisions, notamment, sont fondées sur diverses hypothèses et analyses subjectives, quant auxquelles aucune garantie ou assurance ne peut être donnée. Sans restreindre la généralité de ce qui précède, dans l’éventualité où cette Notice d’offre confidentielle contenait des renseignements relatifs à l’amiante 09 ou à toute autre matière dangereuse ou toxique, concernant la Propriété, de tels renseignements ne devront aucunement être interprétés comme une garantie ou une déclaration, quelles qu’elles soient, explicitement ou implicitement, par effet de la loi ou autrement, et par quelque partie que ce soit, quant à l’existence, l’absence ou la nature de telles matières, à l’intérieur, sous ou autour de la Propriété.